欢迎光临寻材问料网!
当前位置:社区 >行业区 >新能源

新能源

+关注

总共 434 精华 25 今日发帖:0

  • 0
    传统的电池使用一些化学反应来实现能量的储存,但是电池的充电过程耗费较长想时间。而电容器可以利用电场来储存能量,即可以快速充电和释放能量,但每次只能储存较少的能量。为了提高储能并保持充放电速度,科学家们正在研究一种超级电容器.这种电容器往往采用多孔碳的形式,储存能量就像海绵吸水一样。许多商业超级电容器采...
    夏末 2015-08-28更新 顶 (6) 踩(0) 回复(0)阅读(143)
  • 0
    华盛顿大学的物理学家利用精准可靠的方法测定了原子和电极碳表面之间的反应。该团队利用碳纳米管来研究当气体原子和纳米管 表面接触时发生的反应,他们发现当原子或分子接触到碳纳米管时,电子电荷的一部分就会转移到表面,从而导致电阻发生变化,而当许多原子同时粘附在纳米管表 面时,就会产生水的沸腾一样的波动。
    盔甲 2015-08-27更新 顶 (6) 踩(0) 回复(0)阅读(235)
  • 0
    通过使用石墨烯包覆的硅的微小纳米粒子作为阳极,锂离子电池的容量会增加两倍。韩国的研究者们发现,石墨烯的包覆增加了纳米硅颗粒的导电能力,同时也阻止了他们由于充放电时体积膨胀带来的损坏。该小组还认为,由向内“夹紧”的力导致的滑移被抵消,保持石墨烯涂层的完整性并减少了纳米颗粒开裂偏移。科学家们认为这是硅阳极...
    就是小可爱 2015-08-27更新 顶 (6) 踩(0) 回复(0)阅读(178)
  • 0
    近日,澳大利亚一支科学家团队研发出一种有机可打印的太阳能电池板,虽然只有纸一样薄厚,但其供电能力却不差,电池板贴合在建筑上甚至能为一整栋摩天大楼提供能源。这种太阳能电池纸板的优势在于,其可以在屋顶、玻璃等实际的房屋位置上直接利用3D打印技术打印出来,节省了制造电池板的诸多繁琐的环节。目前,研究人员已经成...
    材女 2015-08-27更新 顶 (6) 踩(0) 回复(0)阅读(180)
  • 0
    为模仿飞蛾复眼高度增透的结构,布鲁克黑文国家实验室的研究者使用嵌段共聚物自组装来生产用在硅太阳能电池表面一块大约20nm范围的精确可调的纳米织纹结构。这种纳米织纹结构拥有宽频范围的增透性能,与传统防反射涂层相比更为出色。合适的增透涂层需要控制好光学界面的折射率。最直接的办法就是增加一个折射率居中的涂层使反...
    盔甲 2015-08-27更新 顶 (6) 踩(0) 回复(0)阅读(317)
  • 0
    基于有机发光二极管(OLED)技术,依靠一台印刷机,芬兰公司VTT技术研究中心已创造出一款带图案有弹性的发光表面塑料薄膜,可用于广告展示牌、指示标志和照明器具。通过这种方式,还能为包装的带窗口板件提供透明智能表面。OLED通常出现在手机显示器和电视机上。但直到现在,也仅仅通过传统的微电子学制造工艺,用于玻璃表面上...
    独行侠 2015-08-27更新 顶 (6) 踩(0) 回复(0)阅读(153)
  • 0
    欧洲一科研团队研发出世界上最高效的纳米结构黑硅太阳能电池,可将光能转化为电能的效率提高至22.1%。虽然黑硅太阳能电池还不能达到光伏太阳能电池的最高电量输出效率值,但它的深黑色表面使其即使在太阳光弱时也易 于转化发电——相比于其他电池其吸收光子能力更强。“这是个福音,特别在北方,那里一年大部分时间太阳光都低...
    金莎 2015-08-27更新 顶 (6) 踩(0) 回复(0)阅读(209)
  • 0
    美国能源部所属劳伦斯利福摩尔国家实验室的研究人员,日前用3D打印技术将石墨烯气凝胶微晶格直接打印出来。这种新型石墨烯气凝胶将为能量存储、传感器、纳米电子,以及催化和分选流程带来巨大好处。相关成果发表在4月22日出版的《自然·通信》杂志上。3D打印的石墨烯气凝胶具有高比表面积、优良的电导率、质量轻、有机械...
    盔甲 2015-08-27更新 顶 (6) 踩(0) 回复(0)阅读(122)
  • 0
    圣戈班高功能塑料的Norton® EFTE 薄膜可用于柔性太阳能组件面板。其具备的高透光性,易清洁,耐刮擦性能有效帮助组件高效工作。圣戈班精密抛磨的产品可用于太阳能和节能照明行业:精致的冷却液、清洗液、抛光液以及金刚石粉是硅片的和蓝宝石片加工所需的重要耗材,使太阳能和LED节能照明的成本降低,功效提高。
    剁椒鱼头 2015-08-27更新 顶 (6) 踩(0) 回复(0)阅读(244)
  • 0
    目前微波电子枪发射电子仅有两种复杂方法,为了替代这两种方法,欧几里得科技实验室和阿贡国家实验室纳米材料中心的一个研究小组展示了能够在高电场环境下以高质量电子束运作的即插即用的解决方案。 不熟悉微波电子枪?或许在X射线源的领域内最有名的是,微波电子枪提供了比传统的直流枪更高的电流和更高质量的电子束。这种光...
    沉淀 2015-08-27更新 顶 (6) 踩(0) 回复(0)阅读(125)
  • 0
    英国首辆完全由人类粪便和废弃食品提供动力的新能源汽车在英国西部的港口城市布里斯托尔投入使用。该型车载客量为40人,由生物分解产生天然气提供动力,加满油箱后可行驶300公里(180英里),而油箱的容量相当于5个人每年产生的废物总量。因该款便便能源汽车可提供A4级服务,巴斯汽车公司正将其使用在巴斯市至布里斯托尔机场...
    夏末 2015-08-27更新 顶 (6) 踩(0) 回复(0)阅读(117)
  • 0
    美丽的荷花出淤泥而不染,从荷叶上滚落的水珠可以清除其上吸附的灰尘和细菌,是源于荷叶拥有的“超疏水表面”。由大连理工大学毕业生陆遥团队研发的新涂料,同样可以使材料形成自清洁的“荷叶”表面,甚至在被划破或磨损后都能如此。该研究成果发表于新近出版的美国《科学》杂志。近20年来,仿荷叶的人造超疏水表面一直未能大...
    考拉 2015-08-27更新 顶 (6) 踩(0) 回复(0)阅读(127)
  • 0
    在最近出版的Advanced Science中,Kenneth S. Suslick和他的同事们提出了一个非常灵活的,简单的,可扩展的方法来生产有机硅树脂微球。他们使用超声雾化来制作具有各种性能的微球,其中包括了一些彩色的,有荧光的或者有磁性的微球。有了这种新方法,硅树脂微球可以很容易地被合成,促进了对迄今为止只是被推测的技术的探索。...
    盔甲 2015-08-27更新 顶 (6) 踩(0) 回复(0)阅读(123)
  • 0
    韩国成均馆大学的 Young Hee Lee教授带领的团队开发出了一种新的技术制备微型石墨烯超级电容器。微型超级电容器结构的设计灵感来源于自然,他们仿照叶子中叶脉纹路进行了结构设计, 保证了石墨烯平面中离子扩散的高效进行。制备出来的微型超级电容的体积能量密度高出普通的超级电容10倍,其电学性能高出锂离子电池5个数量级...
    就是小可爱 2015-08-27更新 顶 (6) 踩(0) 回复(0)阅读(149)
  • 0
    出自:IC设计与制造 亮点: 新的电源完整性分析引擎具有大规模的并行执行能力,可达10倍的更快性能 新层次化体系架构支持高达10亿实例的非常大的设计 在整个设计流程中与关键的Cadence工具紧密结合,包括业界最快速的时序签收解决方案Cadence Tempus(Cadence Tempus Timing Signoff Solution) Voltus技术已经通过台积电...
    麻辣小龙虾 2015-08-27更新 顶 (6) 踩(0) 回复(0)阅读(176)
  • 0
    日本东京农工大学研究小组日前宣布,他们开发出利用木材中的木质素制作薄膜材料的新技术。研究人员表示,利用这种技术制成的薄膜抗牵拉强度和耐热性几乎与普通树脂相同,还具有天然皮革一样的质感,有望作为装饰材料和皮革制品的替代品,用途广泛。研究人员将杉树的间伐木材制成木粉,然后与坚硬的陶瓷珠子一起放入粉碎器,进...
    复合先生 2015-08-27更新 顶 (6) 踩(0) 回复(0)阅读(123)
  • 0
    超过 8 亿次的安装经验保证欧司朗电子镇流器永不过时超前满足您的需求。新系统和创新系统可应用的范围十分广泛。示例:改变同一灯具的光通量值。这样可以将灯具类型数量减少一半,还可以简化 OEM、客户和用户的灯具操作。完美结合您获得的不只是镇流器,而是一个完美的系统。作为全球领先的两家电子镇流器和灯具供应商之一,...
    永恒55度 2015-08-27更新 顶 (6) 踩(0) 回复(0)阅读(316)
  • 0
    这项研究工作由矿学教授Ryan O'Hayre主导。燃料电池将化学能转化为电能, 该项研究缩短了电池与用电地点的距离,从而使天然气发电效率得到提高。分布式发电技术会使消费者的能源消耗降低,同时,这种可靠、环保的可替代燃料源有助于保证更高的能源安全性。“我们的研究证明了一种质子导电型陶瓷燃料电池的存在。这种燃料电...
    蜜炼川贝枇杷膏 2015-08-27更新 顶 (6) 踩(0) 回复(0)阅读(112)
  • 0
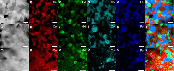
    提高氧离子的运输是将化学能量转化为电能的关键点,最近来自美国的科学家研制出的一种新的氧离子运输材料——钆掺杂氧化铈(GDC)有望让我们的电池能更快和更有效地进行电能转换。
    盔甲 2015-08-27更新 顶 (6) 踩(0) 回复(0)阅读(180)
  • 0
    英诺薄膜公司( Innovia Films)推出了一款新型BOPP薄膜,可保护食物免受矿物油迁移的影响,最高时效达一年半。通过调查薄膜对矿物油碳氢化合物(MOH)和矿物油芳族烃(MOAH)的阻隔保护性,英诺薄膜公司开发了这款新型薄膜。英国食品标准局研究强调,在食品包装采样中,矿物油迁移性频繁超过安全水平。英诺薄膜研究人员正在进行实...
    独行侠 2015-08-27更新 顶 (6) 踩(0) 回复(0)阅读(180)
13 14 15 16 17 18 19 20 21 22 共22页 转到第
400-7755-899